El informe recopila datos científicos y alerta sobre los impactos de la deforestación, la minería y la contaminación en cuatro animales exclusivos de la Amazonía, cuya supervivencia depende de medidas urgentes de conservación y políticas públicas.
El informe recopila datos científicos y alerta sobre los impactos de la deforestación, la minería y la contaminación en cuatro animales exclusivos de la Amazonía, cuya supervivencia depende de medidas urgentes de conservación y políticas públicas.
Esta boca eruptiva se abrió repentinamente por debajo de los 2000 metros, alimentando un gran flujo de lava que ahora está descendiendo en altitud, claramente visible desde todas las poblaciones del flanco oriental del volcán.
En los últimos años, el clima global se ha vuelto cada vez más extremo, con una intensificación de la alternancia de sequías e inundaciones, lo que los científicos llaman extremos o latigazos hidroclimáticos con importantes repercusiones e impactos. Sedimentos chinos tienen la respuesta de las causas últimas.
Cada año los continentes pierden suficiente agua dulce como para abastecer a cientos de millones de personas. La ciencia advierte que este proceso silencioso ya está en marcha y que sus consecuencias pueden redefinir la seguridad hídrica global.
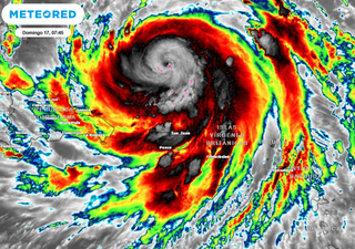
Olas de calor persistentes, sequías prolongadas e incendios forestales marcaron 2025, empujando a la naturaleza a un límite crítico. La sucesión de extremos climáticos dejó ecosistemas debilitados y expuso cómo el cambio climático intensifica y encadena fenómenos meteorológicos cada vez más severos.
En Meteored hemos recopilado los vídeos más impactantes de un 2025 que nos ha dejado un gran repertorio de meteorología extrema y de fenómenos naturales impactantes. ¿Cuál será nuestro número 1?
Aunque algunos confundieron el fenómeno con un tornado, los torbellinos —remolinos de polvo o dust devils, como también se les conoce— se forman en condiciones meteorológicas completamente diferentes. Te explicamos.
¿Puede un “filtro vivo” hecho con microalgas y residuos convertir la contaminación del agua en una oportunidad para una limpieza más sostenible? Esto es lo que proponen unos expertos en química de España y Suecia.
Ya no es un declive, es un colapso: en menos de 50 años, la población de corales duros se ha reducido a la mitad en el Caribe. ¿Cómo se explica esta rápida desaparición? ��Qué relación tiene con el calentamiento global?
En pleno desierto de Rajastán, un manto blanco atrae multitudes y likes. Parece nieve, pero es algo mucho más peligroso. Detrás de las fotos virales, científicos advierten por impactos ambientales y riesgos para la salud.
En el océano profundo reina la oscuridad. Sin embargo, allí abajo, la vida brilla. Sobreviviendo con luz propia, muchas especies se imponen en uno de los ambientes más extremos del planeta.
Nazaré es un pueblo pesquero situado en la costa centro-occidental de Portugal continental, famoso mundialmente por su surf y sus sorprendentes olas gigantes del Atlántico.